Top


LOADING

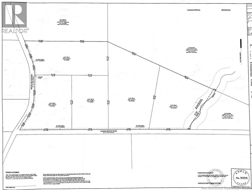
Lot 26-4 Brown Road South Branch, New Brunswick E4W 3L3

Acreage

$50,000

LOT 26-4 Brown Road, South Branch Approximately 16.9 acres of beautiful rural land offering privacy, space, and natural surroundings. This property features a great mix of mature trees and approximately 575 feet of road frontage, making it an excellent opportunity for a future home, hobby farm, or recreational property. The lot will be subdivided on or before closing at the vendors expense as per the survey plan provided. Property assessments and tax amounts will be assigned once the subdivision is completed. Power is available at the road, and additional land is available for those looking to expand. Conveniently located on Brown Road across from civic number 2540 Route 495 in South Branch, this peaceful country setting is about an hour from Moncton and Miramichi, and within easy driving distance to Rexton and Bouctouche for everyday amenities, restaurants, and beautiful beaches. (id:32432)

Property Details

MLS® Number NB134583
Property Type Vacant Land

Building

Fireplace Present No
Utility Water None

Land

Acreage Yes
Sewer No Sewage System
Size Irregular 14.6
Size Total 14.6 Ac
Size Total Text 14.6 Ac

https://www.realtor.ca/real-estate/29433500/lot-26-4-brown-road-south-branch

Interested?

Contact us for more information


Generating Captcha

Brent Ryan
Associate Manager

(506) 380-5009
www.brentryan.ca/

Keller Williams Capital Realty
150 Edmonton Avenue, Suite 4b
Moncton, New Brunswick E1C 3B9

(506) 383-2883
(506) 383-2885
www.kwmoncton.ca/

Your Favourites

 

No Favourites Found